Koordination / Kontakt

Roman Behrens

+49 (0)441 798-4266

Wissenswertes

  • Denken Sie für den geplanten Aufenthalt zwingend an einen Dienstreiseantrag, der von den entsprechenden Stellen an der Uni vor Reiseantritt genehmigt sein muss
  • Planen Sie gern passende Gastgeschenke für die südafrikanischen Kolleg*innen ein – dies symbolisiert Wertschätzung
  • Prüfen Sie vor Reiseantritt Ihren Versicherungsstatus (u.a. Kranken-, Unfall- oder Haftpflichtversicherung), um im Ausland gut abgesichert zu sein

Antrag einreichen

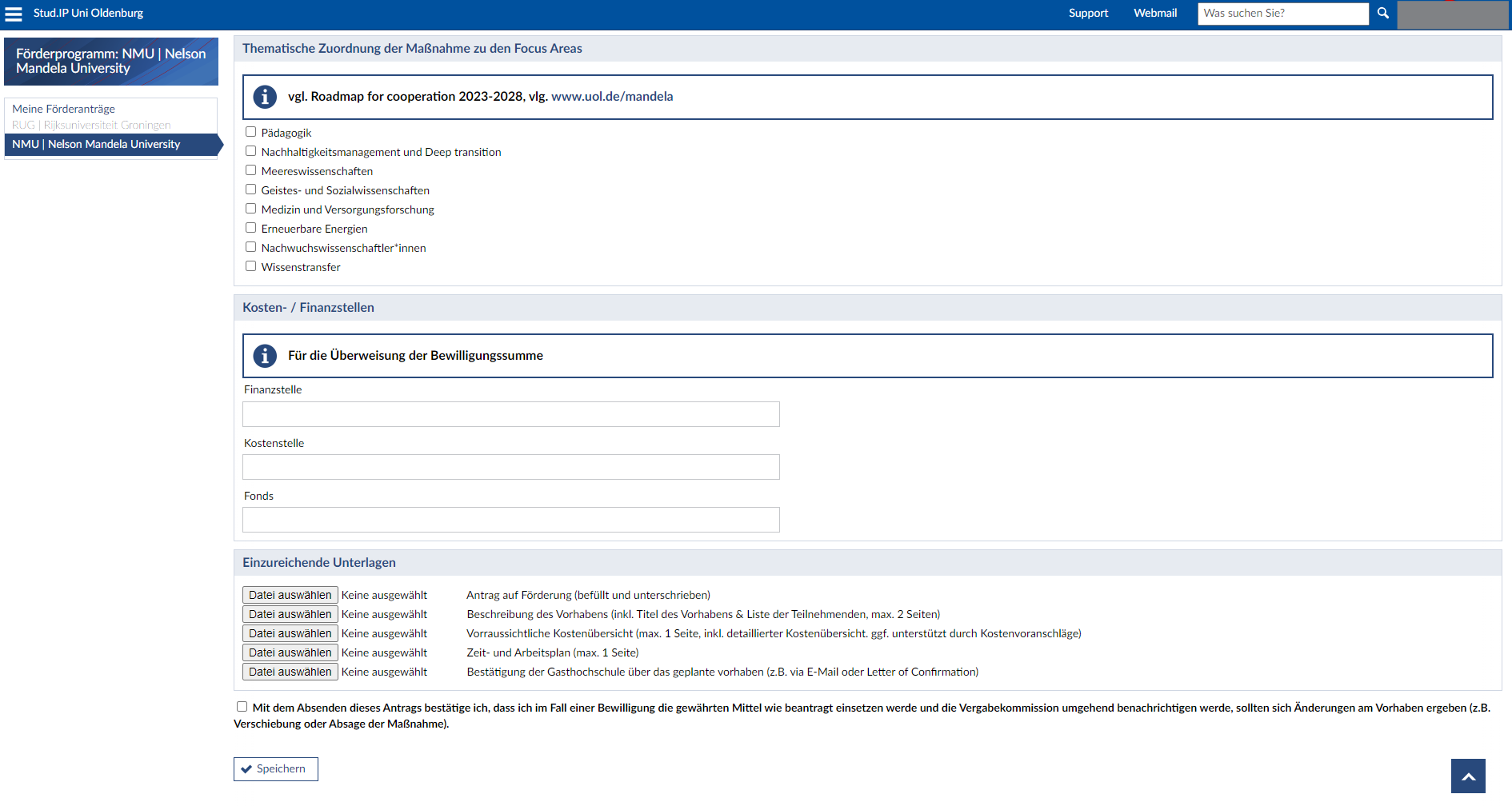
Interessierte Lehrende und Forschende können in der Zeit vom 15.04. - 31.05.2026 einen Antrag auf Förderung eines Vorhabens mit NMU-Bezug einreichen.

Reichen stellen Sie dazu fristgerecht (bis spätestens 31.05.2026) einen Antrag auf Förderung über Stud.IP.

Kurzanleitung

Loggen Sie sich in Stud.IP ein und wählen Sie die Schritte wie im Screenshot beschrieben aus und senden Sie Ihre Bewerbung fristgerecht ab. Beachten Sie dabei zwingend die geforderten Dokumente bzw. Nachweise.

Bei Fragen zum Antrag oder zum Verfahren selbst, können Sie sich gern an wenden.

(Stand: 29.04.2026)  Kurz-URL:Shortlink: https://uol.de/p107971
Zum Seitananfang scrollen Scroll to the top of the page